• MLS: 417423#MLS
  • View: InlandView
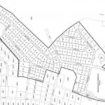
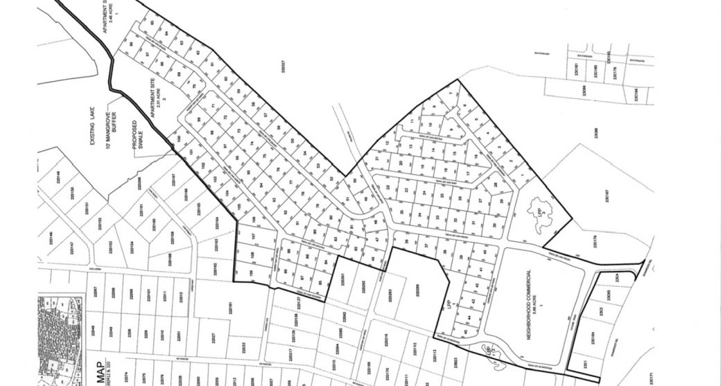
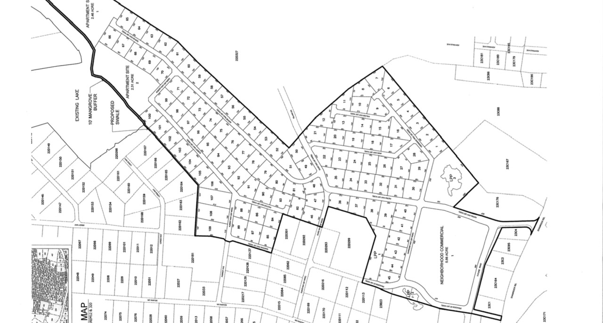
  • Acres: 53.69Acres
  • zoning  Low Density Residentialzoning
Massive 53 acre development site! Already master planned with 109 residential lots. Two apartment sites of over 2 acres each on the lake and waterway. Commercial site of over 5.5 acres, and roads throughout that link up to existing neighbouring developments. There is waterway access leading into the North Sound, so attractive for easy boating access. A tremendous amount of work on the whole site has already been completed, including filling most of the site. While some work is still left to finish up, these lots and sites can start selling very soon. The whole surrounding area is comprised of existing development with a great amount of infrastructure already in place, so this will be a high demand area for these lots and sites.Good opportunity to also develop some sites yourself or joint venture with a developer, especially with the apartment sites and commercial site. There is a tremendous scope of profit from the sale of these lots and sites and possibly some development of them. Master planned development sites of this size and quality in the confines of well established neighbourhoods and this close to George Town, just don’t exist in Grand Cayman. This is a great opportunity to profit from the increasing demand for this type of property over the long term.

Shamrock Road, Prospect, Cayman Islands